Bauausschuss mit 17 Beschlussvorlagen

veröffentlicht am: 09.07.2018

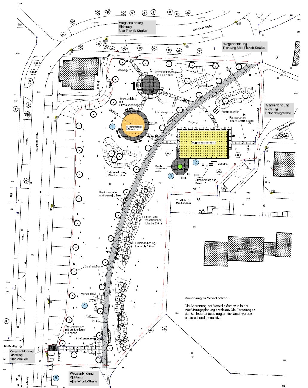
In einer Woche findet die nächste öffentliche Sitzung des Bau- und Verkehrsausschusses statt. Zu den Themen, die auf der Tagesordnung stehen, gehört beispielsweise die Freiflächengestaltung an der Eckersbacher Max-Planck-Straße. Hier sollen unter anderem Wege gebaut sowie ein Bolzplatz angelegt und Spielgeräte aufgestellt werden. Behandelt werden außerdem der Ausbau der Horchstraße zwischen Crimmitschauer und Trabantstraße, der im August beginnen soll, oder die Revitalisierung der Brache der ehemaligen Oberflächentechnik.

Die aktuelle Tagesordnung sowie die Vorlagen stehen im Ratsinfosystem zur Verfügung. Die Sitzung am 16. Juli beginnt um 16 Uhr.

Tagesordnung

1. Allgemeine Regularien

2. Beschlussvorlagen zu Sachentscheidungen

2.1. Vorhabensbeschluss für die Umsetzung des Investitionspaktes – Soziale Integration im Quartier - Freiflächengestaltung mit Sport- und Spielanlagen an der Max-Planck-Straße

2.2. Vergabe von Bauleistungen, Revitalisierung der Brache ehemalige Oberflächentechnik Zwickau einschließlich Gebäuderückbau, Flurstraße 29 , 08056 Zwickau, Los Abbruch Gebäude einschließlich Baufeldfreimachung

2.3. Vergabe von Planungsleistungen zum Bauvorhaben "Grundhafter Erneuerung und Neugestaltung des Poetenweges" im Abschnitt zwischen Bose- und Osterweihstraße

2.4. Vergabe der Planungsleistungen für die Baumaßnahme "Instandsetzung der Brücke im Zuge der Pölbitzer Straße über den Moritzbach"

2.5. Absicht der Einziehung eines Teilabschnittes des beschränkt-öffentlichen Weges Kopernikusstraße abseits

2.6. Vergabe von Bauleistungen für das Bauvorhaben "Ausbau der Horchstraße zwischen Crimmitschauer Straße und Trabantstraße in Zwickau"

2.7. Vergabe von Planungsleistungen zum Bauvorhaben "Grundhafter Ausbau des Turnerweges" im Abschnitt zwischen Bielstraße und dem Neubau Sporthalle Clara-Wieck-Gymnasium

2.8. Änderung des Vorhabenbeschlusses für die Baumaßnahme "Ersatzneubau Stützwand - Innere Zwickauer Straße - Flst.-Nr. 124 c, 125/ 3 (Innere Zwickauer Str. Nr. 78)"

2.9. Vergabe von Wegebauarbeiten für den Neubau eines Geh- und Radweges Südvorstadt (Schwanenteichpark) - Röhrensteg

2.10. Vergabe von Planungsleistungen für den "Grundhaften Ausbau der Olzmannstraße im Abschnitt zwischen Mittelgrundbach und Querung ehem. Lehmbahn" in Zwickau

2.11. Abschluss Erschließungsvertrag B-Plan Nr. 113 für das Gebiet „Zwickau Marienthal -Wohnbebauung südlich Hoferstraße“

2.12. Änderung des Vorhabenbeschlusses (BV/075/2017) zur Sanierung der Gebäudehülle Kita "Alter Steinweg", Alter Steinweg 32, 08056 Zwickau

2.13. Vergabe von Planungsleistungen; Umbau und Sanierung Gewandhaus Zwickau; Neuberinplatz 1, 08056 Zwickau

2.14. Vergabe von Bauleistungen - Neubau Sporthalle Clara-Wieck-Gymnasium, Am Biel 1, 08062 Zwickau Los 01.23. Außenanlagen

2.15. Vergabe von Planungsleistungen; Sanierung Grundschule Crossen; Innenbereich und Außenanlagen sowie Anbau eingeschossiges Hortgebäude

2.16. Vergabe von Planungsleistungen; Ersatzneubau Kindertagesstätte „Marienhof“, Marienthaler Straße 155, 08060 Zwickau

2.17. Vergabe von Planungsleistungen, Neubau Hort Bebelschule, Helmholtzstraße 30c, 08056 Zwickau

3. Informationen der Verwaltung

4. Anfragen der Ausschussmitglieder

5. Beschlussfassung über die Einberufung der nächsten Sitzung

So sehen die ersten Planungen für die Freiflächengestaltung in Eckersbach aus.