Turnerweg und Feldstraße sind Themen im Finanzausschuss

veröffentlicht am: 30.06.2024

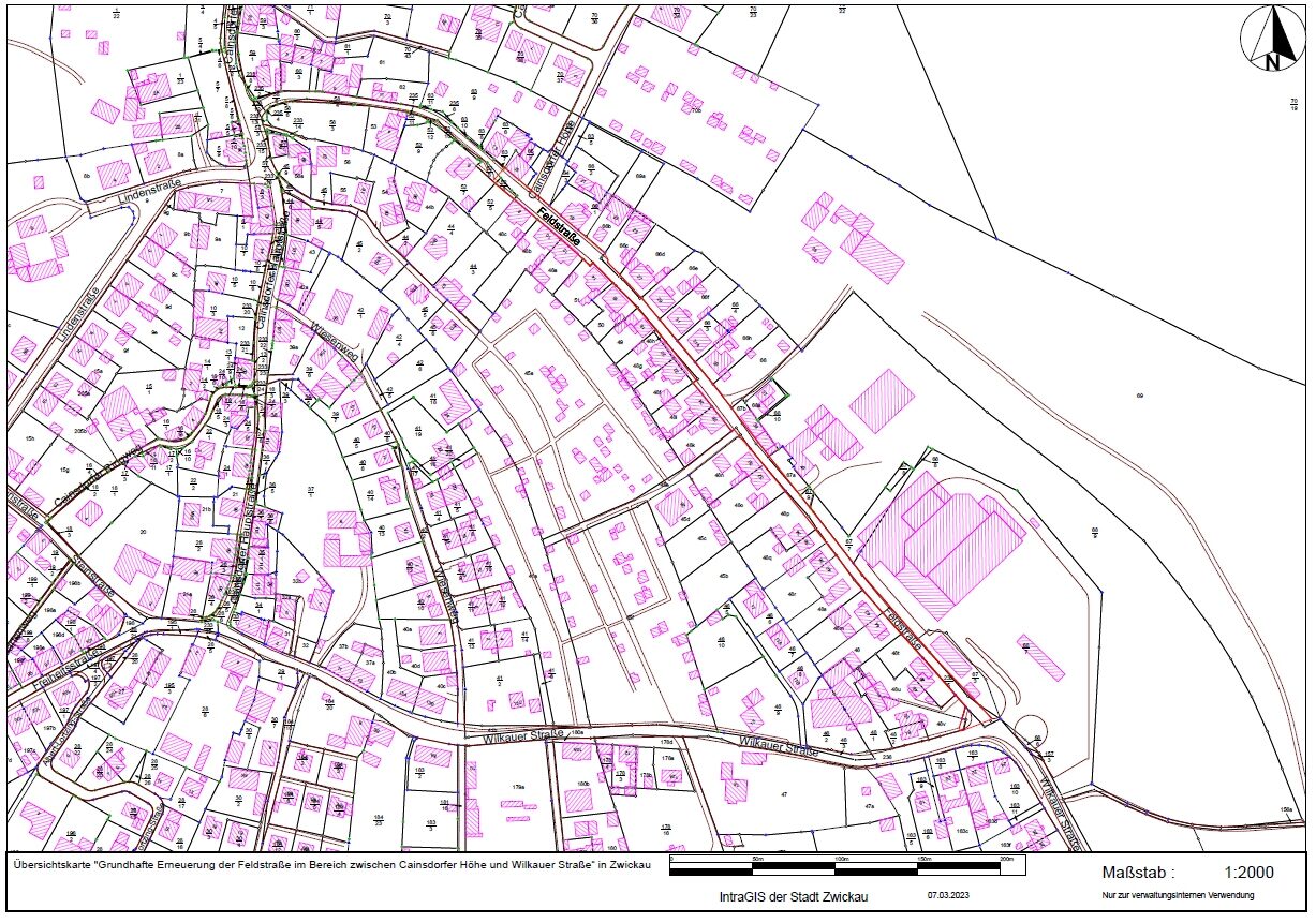
Die Mitglieder des Finanzausschusses befassen sich in ihrer Sitzung am Dienstag, dem 2. Juli, mit vier Beschlussvorlagen. Für den Ausbau des Turnerwegs soll der Vorhabensbeschluss gefasst werden. Die Baumaßnahme ist mit 852.000 Euro veranschlagt und soll voraussichtlich im September beginnen. Im kommenden Jahr soll die Erneuerung der Feldstraße im Bereich zwischen Cainsdorfer Höhe und Wilkauer Straße erfolgen, die Kosten betragen fast 1,2 Mio. Euro. Außerdem im Ausschuss: Vergabe von Bauleistungen für die Sanierung der Sporthalle im „Sojus“ und von Planungsleistungen für die Sanierung der Turnhalle der Windbergschule.

Die Sitzung findet um 16 Ihr im Bürgersaal des Rathauses statt.

Tagesordnung

1. Allgemeine Regularien 

2. Beschlussvorlagen zu Sachentscheidungen 

2.1. Änderung der Finanzierung für das Vorhaben „Grundhafter Ausbau des Turnerweges“ und Bereitstellung überplanmäßiger Mittel, Vergabe von Bauleistungen sowie Vergabe weiterer Planungsleistungen 

2.2. Vorhabenbeschluss für die Maßnahme: "Grundhafte Erneuerung der Feldstraße im Bereich zw. Cainsdorfer Höhe und Wilkauer Straße“ in Zwickau und Vergabe weiterführender Planungsleistungen, Bereitstellung einer außerplanmäßigen Verpflichtungsermächtigung 

2.3. Vergabe von Bauleistungen; Sanierung der Sporthalle im Sportforum "Sojus" in Zwickau-Eckersbach, Wostokweg 31, 08066 Zwickau, Los 31 Abbruch allgemein 

2.4. Vergabe von Planungsleistungen für die EFRE-Maßnahme „Energetische Sanierung Turnhalle an der Windbergschule“, Windbergstraße 68, 08060 Zwickau, Los 1 Objektplanung und Besondere Leistungen 

3. Anfragen der Ausschussmitglieder 

4. Informationen der Verwaltung 

5. Beschlussfassung über die Einberufung der nächsten Sitzung 

Die Feldstraße soll im kommenden Jahr erneuert werden.